ひだまりハウス > (戸建(売買))地域から探す > 我孫子市 > 我孫子市中峠第20 新築戸建 3号棟
\耐震性能+制震性能を備えた住宅、QUIE(クワイエ)!/
◆5年間の防蟻保障と10年間の住宅保障!
◆ZEH水準省エネ住宅!
◆耐震等級3をクリアした耐震、制震性能が特徴の「クレイドルパレット」!
■ひだまりハウスは、お客様一人ひとりの幸せを描くマイホームを叶えるために、数多くの物件を熟知して、向上・拡大し続けています。
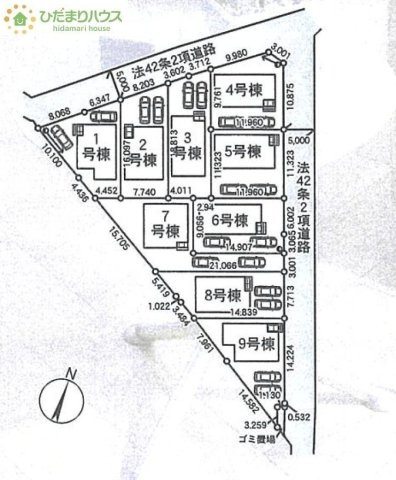
※写真や図と実際の現状とが異なる場合は現状を優先させて頂きます。
画像をクリックして視点を操作











(※元利均等方式 金利5.00%まで ※返済年数5~50年まで入力できます)
(※ボーナスは年2回で計算しています。1000万円まで入力できます)




















| 所在地 | 千葉県我孫子市中峠 | ||
|---|---|---|---|
| 交通 | |||
| 間取り/詳細 |
4LDK/ LDK 17.2帖 1室/和室 5.0帖 1室/洋室 6.0帖 1室/洋室 6.5帖 1室/洋室 6.5帖 1室 |
建物面積(坪数) | 98.01㎡(29.64坪 |
| 価格 | 2,288万円 | ||
| 駐車場/月額料金 | 有(2台)/0円 | ||
| 土地の敷金/保証金 | -/- | 借地料/借地期間 | -/- |
| 土地権利 | 所有権 | 土地面積(坪数) | 138.94㎡(42.02坪) |
| 傾斜地部分面積 | - | 路地状敷地 | - |
| 私道負担面積/セットバック | -/- | ||
| 地目/地勢 | 畑/- | 接道状況 | 一方(北 公道 5.0m)(東 公道 5.0m) |
| 建ぺい率/容積率 | 60%/150% | 用途地域 | 第一種低層住居専用 |
| 都市計画 | 市街化区域 | 種別/構造 | 新築一戸建/木造 |
| 階建 | 2階建 | 築年月(築年数) | 2025年 11月 (新築) |
| 総区画数/販売区画数 | 9区画/9区画 | 向き | 南 |
| 現況 | 完成済み | その他の法令上の制限 | - |
| 取引態様/引渡時期 | 仲介/即時 | 建築確認番号 | 第KBI-SGM25-10-2028号 |
| 物件番号 | 97989989 | ||
| 設備条件 |
|
||
| 備考 |
建築基準法で定められた壁量の1.5倍に達する十分な性能を誇っています。 さらにその耐久性を上げるために、震度6強の揺れを最大67%低減することの出来る 制震装置「SAFE365」を株式会社カナイと共同で開発。制震装置を搭載することで 高額だった制震住宅のコストを下げることにも成功しています。 地震の揺れに耐える「耐震性能」と、揺れを抑えて住宅へのダメージを軽減する「制震性能」を兼ね備えた建売住宅ブランド「QUIE」 。 ふたつの備えで、お客様の家を守ります。 |
||
| 設備(その他) | 1~3号棟は個別浄化槽合併。4~9号棟は本下水。 | ||
| 取扱会社 |
|
||
| QRコード |
このQRコードを読み取ることで、スマホでも物件情報を確認できます。 |
||
※地図上に表示される物件の位置は付近住所に所在することを表すものであり、実際の物件所在地とは異なる場合がございます。
我孫子市以外の市区町村から探す